铭鸿体育资讯网

智勇趣事的文章

兴展二路(荆州路-冀州路)来了!
从官网获悉,郑州航空港临空枢纽经济区产业园基础

兴展二路(荆州路-冀州路)来了! 从官网获悉,郑州航空港临空枢纽经济区产业园基础

兴展二路(荆州路-冀州路)来了! 从官网获悉,郑州航空港临空枢纽经济区产业园基础
关于郑洛文旅快线,这得多大的勇气和魄力啊!
从规划群看到家人们分享的郑州都市圈文

关于郑洛文旅快线,这得多大的勇气和魄力啊! 从规划群看到家人们分享的郑州都市圈文

关于郑洛文旅快线,这得多大的勇气和魄力啊! 从规划群看到家人们分享的郑州都市圈文
总额79.287亿元,全省90个项目评审通过,涉及郑州13个→
4月22日,河南

总额79.287亿元,全省90个项目评审通过,涉及郑州13个→ 4月22日,河南

总额79.287亿元,全省90个项目评审通过,涉及郑州13个→ 4月22日,河南
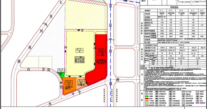
速看,经开区两块用地规划批后公示!
从官网了解到,郑州经济技术开发区经开第五大街

速看,经开区两块用地规划批后公示! 从官网了解到,郑州经济技术开发区经开第五大街

速看,经开区两块用地规划批后公示! 从官网了解到,郑州经济技术开发区经开第五大街
喜讯,许昌市2026年第一季度GDP865.1亿元,实际增速6.4%、增量57.

喜讯,许昌市2026年第一季度GDP865.1亿元,实际增速6.4%、增量57.

喜讯,许昌市2026年第一季度GDP865.1亿元,实际增速6.4%、增量57.
喜讯,上榜全国五一县域旅游TOP10
近日,同程旅行权威发布五一(反向引力)县域

喜讯,上榜全国五一县域旅游TOP10 近日,同程旅行权威发布五一(反向引力)县域

喜讯,上榜全国五一县域旅游TOP10 近日,同程旅行权威发布五一(反向引力)县域
郑州市骨科医院健康城院区迎新!
获悉,郑州市骨科医院健康城院区后勤运维项目-公开

郑州市骨科医院健康城院区迎新! 获悉,郑州市骨科医院健康城院区后勤运维项目-公开

郑州市骨科医院健康城院区迎新! 获悉,郑州市骨科医院健康城院区后勤运维项目-公开
竣工交付,郑州地标正式落成了!
获悉,近日,由中建八局承建的郑州国际文化交流中心

竣工交付,郑州地标正式落成了! 获悉,近日,由中建八局承建的郑州国际文化交流中心

竣工交付,郑州地标正式落成了! 获悉,近日,由中建八局承建的郑州国际文化交流中心
动态维护公示,商丘优化后城镇开发边界759.26平方千米。
从官网获悉,商丘市国

动态维护公示,商丘优化后城镇开发边界759.26平方千米。 从官网获悉,商丘市国

动态维护公示,商丘优化后城镇开发边界759.26平方千米。 从官网获悉,商丘市国
登封市国土空间总体规划动态维护方案公示!
根据公示来看,优化后耕地保有量不低于3

登封市国土空间总体规划动态维护方案公示! 根据公示来看,优化后耕地保有量不低于3

登封市国土空间总体规划动态维护方案公示! 根据公示来看,优化后耕地保有量不低于3
郑州这个重点项目开工了!
华中新能源汽车博览中心作为2026年郑州市重点项目,位

郑州这个重点项目开工了! 华中新能源汽车博览中心作为2026年郑州市重点项目,位

郑州这个重点项目开工了! 华中新能源汽车博览中心作为2026年郑州市重点项目,位
首批名单公布!河南5所高校入选→
4月21日,市场监管总局、教育部联合公布首批专

首批名单公布!河南5所高校入选→ 4月21日,市场监管总局、教育部联合公布首批专

首批名单公布!河南5所高校入选→ 4月21日,市场监管总局、教育部联合公布首批专
请注意,626路优化调整!
从郑州公交集团了解到,为满足和昌盛世城邦、龙翔、龙安

请注意,626路优化调整! 从郑州公交集团了解到,为满足和昌盛世城邦、龙翔、龙安

请注意,626路优化调整! 从郑州公交集团了解到,为满足和昌盛世城邦、龙翔、龙安
珂尔谈规划,郑东新区核心地块终于要动了!

珂尔谈规划,郑东新区核心地块终于要动了!

珂尔谈规划,郑东新区核心地块终于要动了!
这座郊野公园正式开放了!
获悉,新洲区潘塘“十里河湾”土河郊野湿地公园昨日对外开

这座郊野公园正式开放了! 获悉,新洲区潘塘“十里河湾”土河郊野湿地公园昨日对外开

这座郊野公园正式开放了! 获悉,新洲区潘塘“十里河湾”土河郊野湿地公园昨日对外开